Spirit Vastgoed respecteert uw privacy en gebruikt daarom alleen cookies die noodzakelijk zijn voor het functioneren van de website.
Klik hier voor meer informatie.
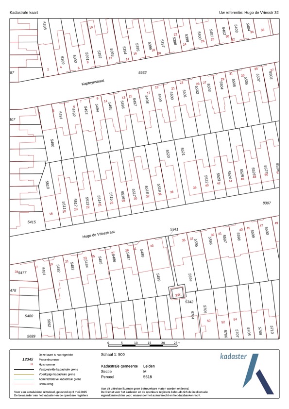
Gemeente: Leiden
Sectie: M
Nummer: 5518
Groot: 1 are 5 ca
