Spirit Vastgoed respecteert uw privacy en gebruikt daarom alleen cookies die noodzakelijk zijn voor het functioneren van de website.
Klik hier voor meer informatie.
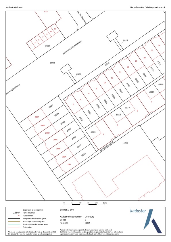
Gemeente: Voorburg
Sectie: E
Nummer: 8902
Groot: 129 m2
