Spirit Vastgoed respecteert uw privacy en gebruikt daarom alleen cookies die noodzakelijk zijn voor het functioneren van de website.
Klik hier voor meer informatie.
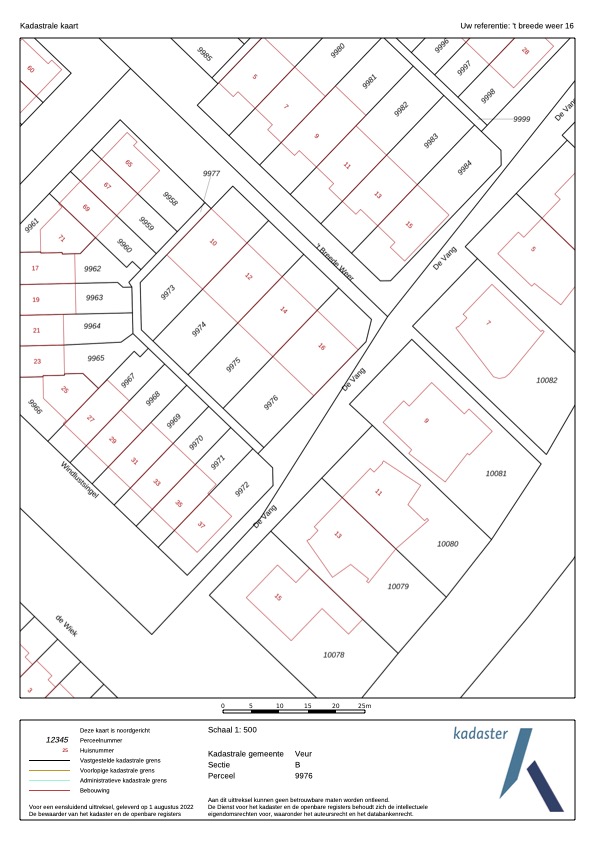
Gemeente: Veur
Sectie: B
Perceel: 9976
Groot: 292 m2
