Spirit Vastgoed respecteert uw privacy en gebruikt daarom alleen cookies die noodzakelijk zijn voor het functioneren van de website.
Klik hier voor meer informatie.
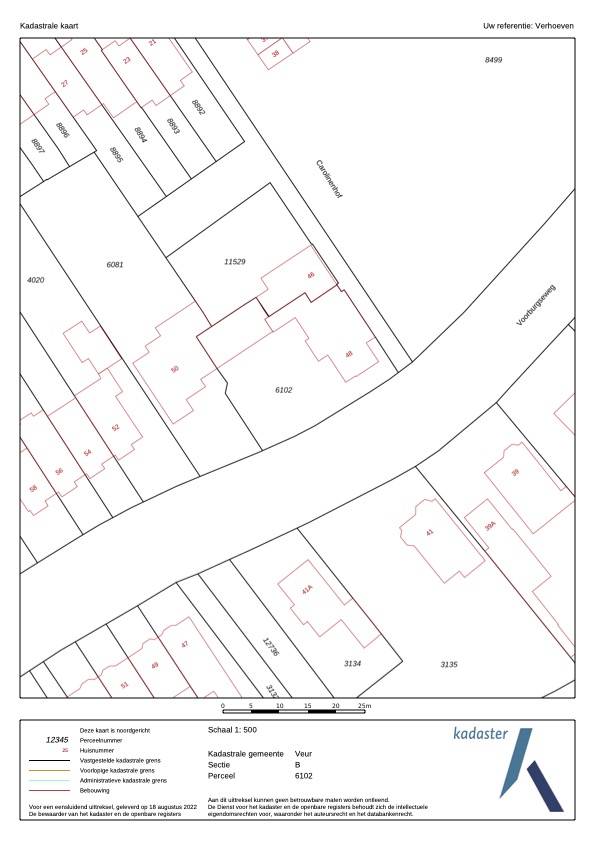
Gemeente: VEUR
Sectie: B
Nummer: 6102
Groot: 5 are 92 ca
