Spirit Vastgoed respecteert uw privacy en gebruikt daarom alleen cookies die noodzakelijk zijn voor het functioneren van de website.
Klik hier voor meer informatie.
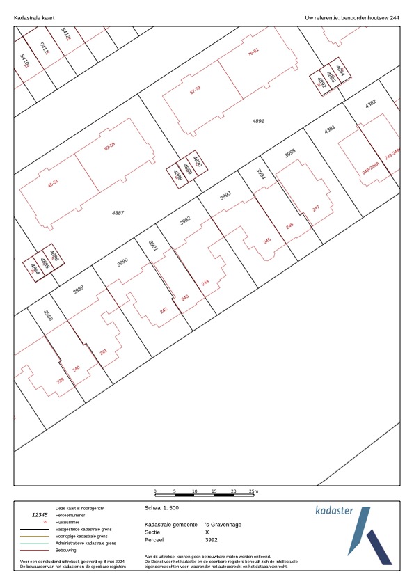
Gemeente: 's-Gravenhage
Sectie: X
Nummer: 3992
Groot: 353 m2
